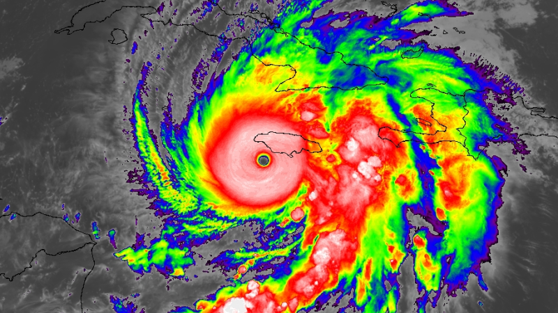
In the latest live updates, Hurricane Melissa is making its presence felt, with sustained winds of 185 mph bearing down on Jamaica. The storm is poised to reshape the island's landscape, potentially leading to a humanitarian crisis. With a UN agency labeling it the "storm of the century," Melissa remains a deadly force, having claimed seven lives in Jamaica, Haiti, and the Dominican Republic.
The central parishes of Jamaica are at high risk of heavy rainfall and flooding, with projections of up to 75 centimeters expected over the next two days. Alongside flooding and landslides, storm surge and strong winds are significant threats. Local authorities and residents are bracing for the impact, implementing evacuation plans, securing shelters, and reinforcing critical infrastructure.
Jamaica's Meteorological Service, led by principal director Evan Thompson, highlighted the imminent risks and urged residents to take precautions. Kingston Mayor Andrew Swaby emphasized the collaborative efforts underway to safeguard the island and minimize long-term damage. With preparations in motion since the beginning of hurricane season, the island is faced with a critical test of resilience.
Residents like Mateo Avalle Piber in Kingston are hunkering down, ensuring they have essential supplies and fortifying their homes against the impending storm. The community spirit is strong, with people coming together to weather the crisis and support one another. However, the urgent warnings from the National Hurricane Center stress the need for immediate action to safeguard lives and property.
As the eye of Hurricane Melissa nears Jamaica, experts warn of the storm's destructive potential, with forecasts indicating the likelihood of catastrophic impacts. The storm's sustained winds, pressure readings, and eyewall movement underscore its formidable strength and the imminent threat to the island.
With Melissa on course to be the strongest storm on record to hit Jamaica, officials and residents are on high alert, making last-minute preparations and seeking safety. The evacuation efforts face challenges due to the storm's unpredictable path and intensity, highlighting the importance of taking every precaution possible.
Meteorologists are closely monitoring Melissa's progression, detailing the severe risks posed by the storm's torrential rains and powerful winds. The World Meteorological Organization and the International Federation of the Red Cross have issued grave warnings, painting a grim picture of the potential devastation to come.
As Hurricane Melissa approaches landfall, the need for immediate action and preparedness is paramount. With lives at stake and communities at risk, the urgency of the situation cannot be overstated. The island of Jamaica, its people, and its infrastructure face a severe test of resilience in the face of nature's fury.
